Introduction
Repairing and maintaining dividing fences in a strata scheme requires a clear understanding of legal responsibilities and cost-sharing arrangements. Knowing who pays for repairs is essential for avoiding disputes and ensuring smooth management within the strata community.
This guide explains how responsibility for strata fence repairs is determined, highlighting the importance of the strata plan and relevant legislation in New South Wales. By clarifying these obligations, owners and managers can better navigate their roles and maintain harmony in their strata scheme.
Interactive Tool: Check Who Is Responsible for Your Strata Fence Repairs
Strata Fence Responsibility Checker
Understanding Different Types of Strata Fences
What is a Dividing Fence in a Strata Context
Under the Dividing Fences Act 1991 (NSW), a dividing fence is defined as a structure that separates adjoining lands. This definition is broad and, within a strata scheme, extends beyond typical fence panels. It is important to understand what can be legally considered a fence.
The Act specifies that a dividing fence can include various features that mark a boundary, such as:
- Hedges: A row of shrubs or bushes planted to form a boundary.
- Ditches: A narrow channel dug at the side of a boundary line.
- Embankments: A wall or bank of earth or stone built to hold back water or support a road.
- Natural watercourses: A stream or river that naturally separates two properties.
For example, if your strata unit is separated from a neighbour's by a hedge that runs along the property line, that hedge is considered a dividing fence under the law.
Structures Not Considered Dividing Fences
It is equally important to recognise what is not classified as a dividing fence, as these structures are governed by different rules. The Dividing Fences Act 1991 (NSW) specifically excludes certain structures from its definition.
- Any wall that is part of a house, garage, or another building is not considered a dividing fence. For instance, if your strata townhouse shares a brick garage wall with the neighbouring unit, that wall is not a dividing fence.
- However, if a hedge extends from that garage wall to the footpath, the hedge portion is classified as a fence.
Furthermore, a retaining wall is not legally considered a dividing fence unless it is essential for the support and foundation of the fence itself. Responsibility for retaining walls is a different matter, as their maintenance is determined by common law principles rather than the Dividing Fences Act 1991 (NSW).
Speak to a Lawyer Today.
We respond within 24 hours.
Determining Responsibility for Your Strata Fence
The Critical Role of the Strata Plan
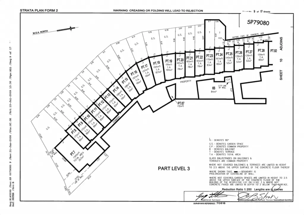
To determine who owns a fence and is responsible for its maintenance, the first and most critical step is to consult the strata plan for your scheme. This document serves as the primary point of reference for identifying whether a fence is considered common property or belongs to an individual lot.
You can ask your strata management services for access to the scheme's strata plan. This plan will provide the definitive answer on ownership, which is essential before any discussions about repairs or costs can begin.
How to Interpret Your Strata Plan for Fences
Reading a strata plan correctly is key to understanding responsibility. The lines on the plan indicate who is accountable for the fence's upkeep.
The markings on a strata plan can be interpreted as follows:
- Fences within a lot: Should a fence be located entirely within the airspace of a single lot but is not shown on the strata plan, it is considered the property of that lot owner.
- Thick lines: A fence shown as a thick line is typically considered a common wall or structural feature. In this case, the Owners Corporation owns it and is responsible for its maintenance and repair.
- Thin or dotted lines: If a fence is marked with a thin or dotted line, or is not marked on the plan at all, it is generally the responsibility of the individual lot owners whose properties it divides.

Get legal advice you can rely on.
Contact us today.
Allocating Costs for Strata Fence Repairs & Maintenance
Fences Between Two Individual Strata Lots
When a dividing fence separates two individual lots within a strata scheme and is not designated as common property, the financial responsibility is shared equally between the respective lot owners.
This means that both neighbours must contribute equally to the costs associated with:
- building the fence,
- maintaining the fence, and
- repairing the fence.
This 50/50 cost-sharing arrangement ensures that the burden of upkeep is distributed fairly. For instance, if a fence between two townhouses in a strata plan requires replacement, both lot owners are expected to split the total cost of the project evenly.
Fences Between a Strata Lot & Common Property
The allocation of costs for a fence between a private lot and common property can vary depending on the fence's classification on the strata plan.
If the fence is not common property, the financial responsibility is often shared equally between:
- the individual lot owner, and
- the Owners Corporation.
In this scenario, the lot owner would be responsible for 50% of the costs, while the Owners Corporation covers the remaining 50%. However, some interpretations suggest the Owners Corporation may be entirely responsible for these fences under section 266(1) of the Strata Schemes Management Act 2015 (NSW). The final determination often depends on how the fence is defined in the scheme's strata plan.
Fences on the Boundary of the Strata Scheme
Fences that mark the external boundary of the entire strata scheme, separating common property from an adjoining external property, are the responsibility of the Owners Corporation.
This includes fences that:
- run along public roads, or
- are next to a neighbouring property that is not part of the strata scheme.
Under section 7 of the Dividing Fences Act 1991 (NSW), the Owners Corporation and the adjoining external neighbour are typically responsible for the fence on a 50/50 basis. The Owners Corporation is entitled to claim a contribution from the neighbour to cover half the cost of any necessary fencing work.
Speak to a Lawyer Today.
We respond within 24 hours.
The Legal Framework for NSW Strata Fences
The Dividing Fences Act 1991 (NSW)
The Dividing Fences Act 1991 (NSW) establishes the primary legal framework for managing cost-sharing obligations and resolving disputes between neighbours over dividing fences. This legislation governs how adjoining owners share responsibility for building, maintaining, and repairing fences that separate their properties.
It provides a structured process for these matters, including requirements for serving written notices before commencing fencing work. Under the Act:
- Adjoining owners are typically required to contribute equally to the cost of a "sufficient" dividing fence.
- However, the Act does not apply to all fences within a strata scheme. Specifically, it does not cover:
- Common property fences located between two individual lots
- Fences that separate a lot from common property
The Strata Schemes Management Act 2015 (NSW)
Working in conjunction with the Dividing Fences Act 1991 (NSW), the Strata Schemes Management Act 2015 (NSW) clarifies the responsibilities of the Owners Corporation within a strata scheme. This Act is particularly relevant for fences that border common property.
Section 266(1) of the Strata Schemes Management Act 2015 (NSW) specifically places responsibility on the Owners Corporation for fences situated on the boundary between an individual lot and common property. This provision clarifies the legal responsibility for maintenance, but lot owners often need to know what to do if the owners corporation fails to repair common property defects.
Get legal advice you can rely on.
Contact us today.
How Strata By-Laws Can Prevent Fence Disputes
Establishing Clear Rules & Responsibilities in Your Strata
Well-defined strata by-laws are essential for proactively managing fencing responsibilities and preventing conflicts within a strata scheme. These by-laws should clearly outline the roles and obligations of both the Owners Corporation and individual lot owners regarding fence maintenance and repairs.
To minimise misunderstandings, effective strata by-laws should include:
- Responsibility Allocation: Clearly specify which fences are considered common property, managed by the Owners Corporation, and which are the responsibility of individual lot owners.
- Maintenance Standards: Define the expected standard of maintenance for all dividing fences to ensure they meet necessary safety and aesthetic requirements.
- Financial Contributions: Outline the specific processes for how costs related to fencing repairs and maintenance will be shared between the Owners Corporation and lot owners.
Enforcing Strata By-Laws for Fence Maintenance
Enforcing the established by-laws is crucial for ensuring compliance with fence maintenance and repair obligations. The Owners Corporation can implement clear procedures to monitor and address any fencing issues in a timely manner.
Effective enforcement mechanisms may involve:
- Regular Inspections: Conducting periodic inspections to assess the condition of dividing fences and identify any repair work that may be required.
- Notification Procedures: Establishing a formal process for notifying lot owners of their responsibilities and any actions they need to take to maintain or repair their fences.
- Penalties for Non-compliance: Defining clear penalties or fines for lot owners who fail to adhere to the by-laws, which encourages prompt action on maintenance and repairs.
- Dispute Resolution: Incorporating mechanisms for resolving disagreements, which could reference legal frameworks such as the Dividing Fences Act 1991 (NSW).
Speak to a Lawyer Today.
We respond within 24 hours.
Resolving Disputes Over Strata Fence Repairs
Negotiation & Communication with Neighbours
Effective communication with your neighbours is the essential first step in preventing and resolving disagreements over fencing, which is one of the most common strata disputes. Many issues can be settled amicably through direct discussion, which can be facilitated by a strata manager to ensure a productive conversation.
Before initiating these talks, it is crucial to:
- Understand your property's boundaries
- Review the specific strata by-laws that apply
A strata manager can help arbitrate and provide clarity on responsibilities. This support helps all parties reach a fair and mutually agreeable solution without escalating the matter.
Formal Mediation & Tribunal Options
When disputes over fence repairs cannot be resolved through direct negotiation, formal dispute resolution pathways are available. The primary institutions for handling these conflicts are:
- Local Courts
- The NSW Civil and Administrative Tribunal (NCAT)
These bodies offer structured processes for mediation and adjudication.
NCAT provides mediation services designed to help disputing parties reach a mutually acceptable agreement in a cost-effective and timely manner. If mediation is unsuccessful, the matter can be escalated to a formal tribunal hearing for a strata dispute in NCAT, where the Tribunal or the Local Court will consider all circumstances and make a binding decision.
Conclusion
Maintaining dividing fences in a NSW strata scheme requires a clear understanding of the strata plan and key legislation to determine responsibility. Well-defined by-laws and established dispute resolution pathways are crucial for managing costs and preventing conflicts between owners and the Owners Corporation.
For trusted expertise in navigating these complex regulations, contact the specialised strata lawyers at PBL Law Group today. We provide clear, actionable advice to help owners corporations and lot owners manage their responsibilities and resolve disputes effectively.
Frequently Asked Questions
![]()






